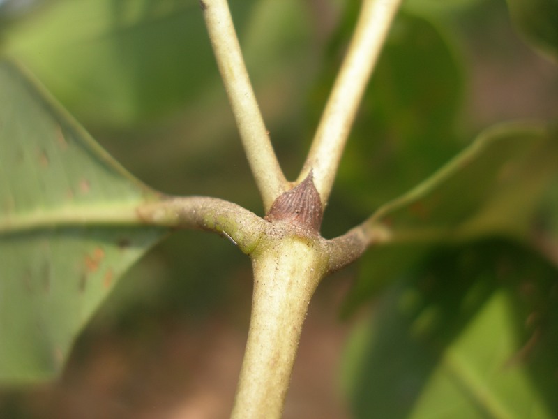
Alibertia edulis detalle estípula Comparte esto / Share: Comparte en Facebook (Se abre en una ventana nueva) Facebook Compartir en X (Se abre en una ventana nueva) X Compartir en WhatsApp (Se abre en una ventana nueva) WhatsApp Compartir en Tumblr (Se abre en una ventana nueva) Tumblr Compartir en LinkedIn (Se abre en una ventana nueva) LinkedIn Más Enviar un enlace a un amigo por correo electrónico (Se abre en una ventana nueva) Correo electrónico Compartir en Reddit (Se abre en una ventana nueva) Reddit Haz clic en Pinterest (Se abre en una ventana nueva) Pinterest Compartir en Telegram (Se abre en una ventana nueva) Telegram Me gusta Cargando...